PIRE

Partnership for Volcanological Research and Education

UAF Logo
Hornblende grain by Vasily

Petrology

  • Jill Shipman (UAF) is completing whole rock analysis of Bezymianny samples in order to identify compositional and textural trends through time. Decompression experiments will be completed on samples during the spring. The goal of this work is to compare mineral stability fields from petrologic research with future GPS results, in order to determine magma storage conditions and ascent rates at Bezymianny. These results will be compared to the outcomes of similar studies at Shiveluch and Mt St Helens. For more information please read the AGU abstract

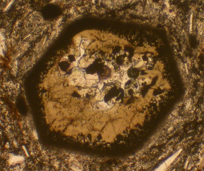
  • Vasily Scherbakov and Sasha Tsay (Moscow State University) are investigating the hornblende reaction rims (see left) of the 1956 andesitic pyroclastic deposits. Based on detailed study, they have measured the temperature, pressure and time parameters associated with rim formation. By examining samples collected during this past summer, Vasily and Sasha will estimate the T-P dynamics of Bezymianny's magma chamber during the last 50 years.

    Photo of rimmed hornblende by Vasily Sherbakov

Klyuchevskoy group by Kayzar

Geochemistry

  • Theresa Kayzar (University of Washington) has collected sample suites from three Kamchatkan volcanoes (Bezymianny, Karymsky and Shiveluch) that represent time sequences through their most recent eruptions. The goal of her research is to investigate fluid addition and volatile fluxing through an active arc by using U-series isotopics (U-Th-Ra-Pb) as well as long-lived Pb isotopes and trace element geochemistry. This year will involve she will perform Po210 analysis, Ra226 analysis, laser-ablation work at OSU (trace elements) and microprobe work at UW to combine with the laser-ablation data. One goal is to see what scales of U-series variations are present in different volcanic settings, hence the examination of Karymsky, Shiveluch, and Bezymianny. Geochemical results will eventually be integrated with the petrological results from Jill Shipman and Pavel Izbekov.

    Photo of Klyuchevskoy Group by Theresa Kayzar

Bomb by Pavel

Physical Volcanology

  • Wendy Stovall (University of Hawaii) completed density analysis of clasts from the 1956 deposits. Her work differentiated between clasts derived from the cryptodome and clasts from the later Plinian column collapse. The unimodal density distribution of the cryptodome material indicates uniform degassing. This differs from the bimodal density distribution seen in Mt St Helens cryptodome samples, which implies multiple degassing events.
  • Emily Gottesfeld (University of Oregon) examined electrical tortuosity and connected porosity of samples from a variety of samples from Bezymianny.
  • For more information, please take a look at the AGU poster (pdf)

    Photo of breadcrust bomb by Pavel Izbekov